Abandoned & Little-Known Airfields:
Massachusetts: Northern Boston area
© 2002, © 2025 by Paul Freeman. Revised 5/10/25.
This site covers airfields in all 50 states: Click here for the site's main menu.
____________________________________________________
Please consider a financial contribution to support the continued growth & operation of this site.
Boston Nashua Street Department of Public Works Heliport / Bank-Whitmore Heliport (revised 5/29/23) - Muller Field / Riverside Airport / Revere Airport (revised 5/10/25)
Robbins Airport (revised 1/6/19) - Salem CGAS (revised 5/29/23) - Saugus Field / Atwood Park (revised 9/27/22)
Shawsheen Pines Airport / Billerica-Wilmington Airport (revised 1/8/21) - Tew-Mac Airport (revised 3/30/25)
____________________________________________________
Boston Nashua Street Department of Public Works Heliport / Bank-Whitmore Heliport (MA89), Boston, MA
42.368, -71.067 (Downtown Boston, MA)

A circa late 1980 / early 1990s aerial view by Mike Shiwota (courtesy of Paul Cantrell, used with permission)
looking south at Robinson R-22 Mariner N2285Z getting ready for takeoff at the Boston Nashua Street heliport.
Jonathan Westerling reported, “In 1964,the Massachusetts Aeronautical Commission built the Nashua Street Heliport
for the Massachusetts Department of Public Works & it opened as a private heliport.
Because of requests by nearby corporations to use the heliport, it was opened for 'Limited Commercial' use in 1965.”
Jonathan continued, “Directories always listed the heliport as 'Private', but this was not entirely correct.
The 'Limited Commercial' status meant that helicopter operators wishing to use the facility only had to obtain permission
from the Massachusetts Aeronautics Commission prior to the first time they used the heliport.
Pilots must have had 1,000 hours of helicopter time, insurance certificate, and sign a statement holding the MAC harmless in case of accident.
A commercial rating was not necessary. Night landings required that the pilot be checked out by one of the MAC's inspectors.”
Jonathan continued, “The heliport was 16,000 square feet. This included 1 touchdown pad & 1 or 2 parking spaces depending on the size of the helicopters.
It could accommodate 1 large or 2 medium-size helicopters. It was surrounded on 3 sides by a parking lot & on the 4th by the Charles River.”
Jonathan continued, “In 1978 the heliport was given a name (which it seems was never adopted by any directories, unfortunately).
Quoting from the city records: 'Be it enacted as follows: The Department of Public Works Heliport located on Nashua Street shall be designated & known as the Bank-Whitmore Heliport,
in memory of Richard Bank, former chief inspector of the Massachusetts Aeronautics Commission
and Henry Whitmore, a reporter for WEEI radio who died in a helicopter crash on 12/27/77 in Quincy.
A suitable marker bearing said designation shall be erected thereat by said department. Approved 5/12/78.'
It was later assigned identifier MA89.”
A 1982 letter from the MAC provided detailed information on the Heliport's critical role in one of the most famous snowstorms in Boston history:
"For several days following the February 1978 blizzard, the heliport was the only available air transportation facility in Eastern Massachusetts.
It became a logistical center from which key government personnel operated in a coordinated attempt to direct, from the air,
the recovery of the Massachusetts roadway system & performed numerous rescues throughout the period when ground transportation was at a standstill."
Jonathan Westerling reported, “Despite its relatively sparse facilities, the heliport grew to be quite well used by local companies, as well as the State, and nearby hospital.”
Since it was unattended, precise statistics were not kept, but a 1988 FAA report stated:
"Present activity at the heliport is approximately 10,000 operations per year, representing a little less than 28 operations per day."
The earliest depiction which has been located of the Boston Nashua Street heliport was a circa late 1980 / early 1990s aerial view by Mike Shiwota (courtesy of Paul Cantrell, used with permission)
looking south at Robinson R-22 Mariner N2285Z getting ready for takeoff.
The heliport was shown to be a small paved area with 3 circular parking areas marked on the east side & a single square helipad marked on the west side.
Jonathan Westerling reported, “In its later years, the Nashua Street heliport included a bus shelter which was installed in 1986 to keep the rain & snow off passengers.
There was also on-site radio communication directly to the MAC, low-level flood lights & amber perimeter lights (both radio controlled) for night operation, and security fencing.”
According to a 1988 FAA report on the heliport, "There have been no public complaints about the the Nashua Street Heliport.
However, there is pressure by the city of Boston through the Metropolitan District Commission to eliminate Nashua Street & reclaim the land for the Charles River Esplanade [park]."

A 1995 USGS aerial view showed the Boston Nashua Street Heliport to be a small paved area with 3 circular parking areas marked on the east side & a single square helipad marked on the west side.
A 1996 aerial view showed the Boston Nashua Street Heliport to remain unchanged compared to the 1995 photo.
According to a 1997 FAA Heliport study, the efforts of the city to redevelop the land on which the heliport sits were coming to fruition:
"The Metropolitan District Commission is the owner of the property on which the Nashua Street Heliport is located.
MDC has indicated to MAC that it eventually wants that property for future development, such as the proposed new Charles River Crossing & Basin Park.
That development would require closing the heliport.
MAC currently anticipates that, while the present lease with MDC will be extended for another year or two, eventually the Nashua Street Heliport will be closed."
Jonathan Westerling reported, “The only reason the heliport remained open in its final years was to support the adjacent Massachusetts General Hospital.
Once the hospital finally succeeded in building its own exclusive-use heliport, the push to close the Nashua Street Heliport was completed.”
According to a 11/8/16 report in the Boston Herald: "The Nashua Street helipad closed in 1999. This left Boston without a downtown public heliport."
Jonathan Westerling reported, “The Nashua Street heliport was in operation & contributed significantly to the health of downtown Boston's economy for 35 years.
Boston has been without a public heliport since 1999.”
A 2001 aerial view showed the site of the Boston Nashua Street Heliport to have been reused as an automobile parking lot.

A 2020 aerial view showed the site of the Boston Nashua Street Heliport to have been reused as Nashua Street Park, with no trace remaining of the heliport.

A 2022 photo looking north at the site of the Boston Nashua Street Heliport, reused as Nashua Street Park.
Thanks to Jonathan Westerling for pointing out this airfield.
____________________________________________________
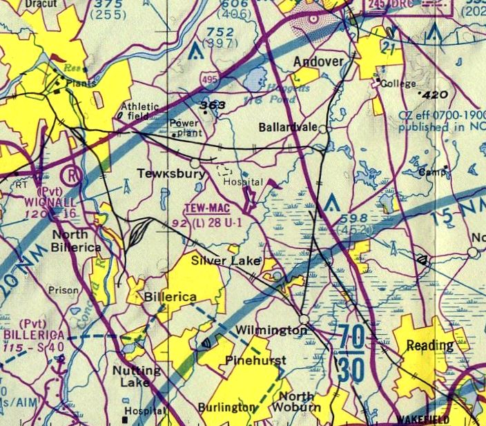
Tew-Mac Airport (B09), Tewksbury, MA
42.595, -71.206 (Northwest of Boston, MA)

An April 1951 aerial view of Tew Mac Airport by Mark L. Thaisz of Col-East, Inc.
According to the book "Ask now of the days that are past" by Harold J. Patten (via Glenn Bergeron),
Arthur MacLaren applied in 1949 to the Board of Appeals for a permit to use his land to establish an airport.
The permit was granted on 7/7/49. Two years of site preparation work then commenced.
A Landing Area was authorized on 11/17/49, by the MA Aeronautic Commission.
David Reid reported, “Arthur MacLaren was my grandfather & he & my mother used to tell stories of clearing the trees on the land for the airport & blowing out the stumps with dynamite.”
Tew-Mac Airport was yet depicted at the location on the January 1950 Boston Sectional Chart nor on the 1950 USGS topo map.
The 20+ acre Tew-Mac Airport was recognized as an Official Airport on 3/26/51. The first manager was John Hanson.
The earliest depiction of Tew-Mac Airport which has been located was an April 1951 aerial view by Mark L. Thaisz of Col-East, Inc.
It depicted the field as consisting of a single grass northeast/southwest runway,
with a single small building at the southwest corner, around which were parked 5 light single-engine planes.
The 1952 MA State Airport Directory (courtesy of Jonathan Westerling)
listed the Tewkesbury airport as having a single 1,850' turf Runway 3/21.
It listed the manager as John Hanson, and the operator as Four Star Aviation.
A Civil Air Patrol building was erected in 1952 & the first hangar was constructed in 1954.

The earliest aeronautical chart depiction of Tew-Mac Airport which has been located was on the May 1953 Boston Sectional Chart.
It depicted Tew-Mac as having a mere 1,800' unpaved runway.
Gilbert Bergeron recalled, "I was taking flying lessons at Tew-Mac in 1954, receiving my private pilots license in 1956.
It was operated by 2 partners, John Hanson & Frank Teed, who moved their operation from the old Billerica-Wilmington Airport.
The operation was called Four Star Aviation Inc.
In 1956, it still had only one runway, (3/21), and was 1,700' of sod,
with powerlines running across the approach end of Runway 3, along Route 38."
David Reid reported, “Arthur MacLaren sold the airport the year I was born, 1959, but he was still friends with the new owners.”
According to the book "Ask now of the days that are past" by Harold J. Patten (via Glenn Bergeron),
Clifford Hupper purchased the Tew-Mac Airport in 1959 & became its Manager.
An expansion program included lengthening the runway & adding lights.
"Somewhere around 1959-61, Four Star Aviation moved its operation to Lawrence Airport, MA,
after the crash & death of Ed Zimmney, who had a flight school at the southern end of the field.
Ed, I believe, was flying Ted Kennedy around Massachusetts on campaign trips when he was running for the Senate.
The crash put Kennedy in the hospital for a long period of time with a broken back.
At that time, Tew-Mac was taken over by Clifford Hupper (Warren's father).
The name, Tew-Mac, comes from Tewksbury, the town,
and MacClarren (Arthur MacClarren was the owner of the property
and lived in a house at the southeastern corner of the field near Route 38)."
The 1960 Boston Local Aeronautical Chart (courtesy of Mike Keefe) described Tew Mac as having a single 1,850' turf runway.
David Reid recalled, “On rainy days in the early 1960s the runways were closed for planes & my grandfather used to take me out in his Volkswagen Beetle
and let me drive around the runways sitting on his lap. I was 5 or 6 at the time.
He & his wife Ora Maclaren lived in a house on the southeast corner.
Grandpa sold the house & it was moved to another location.
He then moved into a house up Livingston Street & used to walk down to the airport & visit.”
John Reagan recalled, "I lived on Tanglewood Avenue in Tewksbury
and would ride my bike down to the Airport & spend all my free time there between 1962-66.
I use to fly with a lot of the pilots who owned planes there.
On weekends I use to fly with Art Moran, who at the time owned a converted 1938 Piper J-2.
The engine was changed from a 40 HP to a 60 or 65 HP engine & ran great.
We would often takeoff to Plum Island, Norwood, Nashua Airports or just out for a weekend ride."
John continued, "Cliff Hupper, Warren Francis Hupper's father (the owner of the Airport)
used to give me a job picking up papers or other things & would give me a ride in his Piper J-8 Cruiser or one of the J-3s.
One morning in the summer, I was riding with one of the other pilots in his Cessna 172 Skyhawk & on final approach the engine stopped.
Luckily, he was a very skilled pilot & landed 'Dead Stick'.
Something I will always remember is a man who use to visit the Airport to show off his special plane.
Instead of flying down the runway he would fly across the field & take off over the trees."
John continued, "One day, I was just getting to the airport & one of the pilots had just filled up his plane with gasoline
and had the tow bar still on the nosewheel as he was getting ready to crank the engine.
I ran out to the field with my hands waving & yelling 'Stop!' He saw me & did not start the engine.
To reward me he gave me a nice ride & showed me how Omni worked.
I was about 10 years old & I had a note from my mother
that Cliff Hupper kept in the office saying that I could fly with any qualified pilot.
Some of the instructors I knew there were Francis 'Waren' Hupper, Dick Johnson,
and Don Dover who eventually became an FAA Examiner
and Toby Pierson who had his student pilot's license before he got his drivers license."
John continued, "I learned a lot about aviation from Curt Harvey & Dick Fetachuck,
the gentlemen who ran the Aviation Maintenance shop.
It was fun watching them work on the planes & learn all about aerodynamics as well as how the various tools worked.
As a visitor, I was always treated like one of the family & had free reign over the whole field.
Cliff was sort of like a Grandfather to me. He use to keep all his change in a bag
and on a hot day he would buy me a Coke out of one of the machines in the office.
Art 'Red' McLaren & his family were also friends of mine. He owned the land that the Airport was built on."
The 1962 AOPA Airport Directory described Tew-Mac as having a single 1,950' sod runway.
Tew-Mac was depicted on the 1963 Boston Sectional Chart (according to Chris Kennedy) as having an 1,850' turf runway.

A circa 1960s photo of Tew-Mac Airport depicted a row of light single-engine planes next to a few small buildings & a grass airfield.
According to the book "Ask now of the days that are past" by Harold J. Patten (via Glenn Bergeron), a Tew-Mac runway was paved in 1964.
An aerial photo from the book showed the field to have a single asphalt runway & parallel taxiway,
and over a dozen light aircraft clustered around both sides of the south end of the runway.
The 1965 MA Airport Directory (courtesy of Jonathan Westerling) depicted Tewksbury Airport as having a single asphalt 1,970' Runway 3/21, with an amazing assemblage of 41 light aircraft parked outside.
The Manager was listed as Clifford Hupper, and the Fixed Base Operator as Tew-Mac Aviation.

The 1965 USGS topo map depicted Tew-Mac Airport as having a paved northeast/southwest runway, a parallel taxiway, and 3 small buildings on the southwest side.
The Aerodromes table on the 1965 Boston Sectional Chart (courtesy of John Voss) described Tew-Mac as having a single 1,964' asphalt runway.

A 4/6/65 USGS aerial view depicted Tew-Mac Airport as having a paved northeast/southwest runway, a parallel taxiway, and several dozen light aircraft parked on either side.

The 1968 Flight Guide (courtesy of Robert Levittan) depicted Tew-Mac
as having a single 1,960' paved Runway 3/21, with a parallel taxiway & 3 small buildings on the southwest side.

The 1968 Boston Sectional Chart (courtesy of Mike Keefe) depicted Tew-Mac as having a single 1,900' paved runway.

At some point between 1968-71, the 2nd runway was also paved, as a 1971 aerial view depicted Tew-Mac as having 2 paved runways.
Over 25 light aircraft were visible on the south side of the field.
The 1972 Flight Guide (according to Chris Kennedy) described Tew-Mac as having 2 paved runways, of 2,900' & 2,603'.

A patch from the Civil Air Patrol's Tew Mac Composite Squadron.
Joseph Toto recalled, “I was 15 when I used to ride my bike from Wilmington to Tewksbury to take flying lessons.
I loved those days. I was friends with Cliff Hupper (grandson) & went to high school with him as well.
There was never a shortage of people there to make me feel welcome,
from Fred Dexter taking me for rides in his Stearman to my instructor John Bourdon,
who occasionally gave me rides home (with my bike in his trunk).
Whether it was flying the pattern in the Grumman AA-1s
or sitting by the fireplace eating popcorn & listening to the old-timers hangar talk,
just being at Tew-Mac was an experience I have yet to duplicate anywhere else I fly.
I hope someday to recreate that environment for future pilots to share.”

The June 1975 Boston Terminal Aeronautical Chart (courtesy of Mitchell Hymowitz)
depicted Tew-Mac as having 2 paved runways, with the longest being 2,800'.
T. Riley recalled, “Tew Mac was where I got my single-engine VFR pilots license back in 1975 or 1976.
I remember coming in over the miniature golf course - the rocket was pretty high coming in for a landing.
I remember my first solo there & what a fantastic feeling it was. I was 22 or 23.
It was a great airport across the street from a miniature golf course. They had good instructors.”
Steven Whitcomb recalled, “My first flight was in 1976 at Tew-Mac airfield.
It was a great place to land for lunch because McDonalds was right next door.”
A 1978 aerial view depicted a very well-used airport,
with several dozen light aircraft visible on the southwest & southeast sides of the field.

The November 1983 Flight Guide (courtesy of Matt Elia) depicted Tew-Mac as having 2 paved runways, with an office & another small building on the southwest side.

A 1989 photo of "The old hangar out back with Fred Dexter's Stinson Reliant, Grumman Trainer, and Stearman",
by John Ford of Les Vants Aerial Photos.
A 1991 aerial photo of Tew-Mac Airport from 12,500', by John Ford of Les Vants Aerial Photos.

The last aeronautical chart depiction which has been located of Tew-Mac Airport
was on the December 1992 Boston Terminal Aeronautical Chart (courtesy of Gwen Shafer).
It depicted Tew-Mac as having 2 paved runways, with the longest being 2,800'.
The 1993 Jeppesen Airport Directory depicted Tew-Mac as having 2 paved runways: 2,830' Runway 3/21 & 2,600' Runway 18/36.
The operator was listed as Tew-Mac Aviation, Inc.

The 1994 Jeppesen Airport Directory depicted Tew-Mac as having 2 paved runways: 2,830' Runway 3/21 & 2,600' Runway 18/36.
The operator was listed as Tew-Mac Aviation, Inc.

A 1995 USGS aerial view looking northwest showed Tew-Mac Airport to be very well-used, with over 40 single-engine aircraft visible.

A beautiful 1996 aerial view by John Ford of Les Vants Aerial Photos of Tew-Mac Airport, the year before it closed..
A total of 35 light aircraft were visible parked outside.

A 1997 aerial view by John Ford of Les Vants Aerial Photos of Tew-Mac Aero Service hangar, in the airport's last year.
.
A 1997 photo by John Ford of Les Vants Aerial Photos of the last plane to land before Tew-Mac Airport's demolition (John Ford's Cessna)
and the last to take off (the airport owner, Warren Hupper's, Grumman Cougar).
Tew-Mac Airport was closed in 1997.

A sad sight: a 1998 aerial view by John Ford of Les Vants Aerial Photos of the site of Tew-Mac Airport only one year after its closure.
Nearly all traces of the airport had been removed, as the site was covered with a retirement community & golf course.
The only remaining trace of the former airport was a short section of the north end of the former crosswind runway (top-left of photo) which still remained untouched.

A 2016 aerial view looking northwest shows the site of Tew-Mac Airport as being unrecognizable as a former airport. Just what we need: more houses.
Gilbert Bergeron observed, "I've shed a tear or two to see the field torn up as I have many wonderful memories of flying there in Cubs & Champs."
Thanks to Charlie for pointing out this airfield.
____________________________________________________
Saugus Field / Atwood Park, Saugus, MA
42.44, -71.006 (North of Boston, MA)

An undated photo of a pilot (Harry Atwood?) at Atwood Park (courtesy of Sandy Muise).
According to Wikipedia, a one-mile oval horse racing track named Franklin Park was operated at this location from 1859-1905.
“The idea of building an aviation field on the site of the Old Saugus Race Track was first proposed in December 1910 by the Aeroplane Company of America.
The company proposed spending $100,000 to convert the old race track into an airfield & construct a factory for the manufacturing of flying machines.
The company also planned to maintain a flight school & hold aviation meets on the site.
The company asked the town to extend its water mains to the field, improve its electrical light equipment,
keep the roads leading to the field in good condition, and be lenient in the tax assessment of the improved property.
The Saugus site was chosen because it consisted of many acres of flat, dry land & open marsh land,
there was sufficient room for the construction of new buildings, and the atmospheric conditions were ideal for flying.
Flying began at the Saugus race track in 1911.”
The Wikipedia article continued, “On 12/21/1911 Harry Atwood claimed to break the record for longest time in the air in a hydroaeroplane by remaining in the air for 80 minutes.
On 5/30/12-6/1/12 Atwood Park hosted an aviation meet that was attended by some of the biggest aviators in the country, including Atwood, Lincoln Beachey, Philip W. Page, and Arch Freeman.
On the first day of the meet, Atwood made the first airmail delivery in New England.
He flew about 5 miles to the Lynn, MA Town Commons where he dropped a sack of mail from the plane.
The sack was then retrieved by a Lynn postal employee & driven to the Post Office.
On 7/31/1912 'Boy Aviator' Farnum Fish & a student survived a crash after a plane they were flying hit an air pocket,
dropped 150 feet, crashed into a pole, turned upside-down, and fell to the ground.
Fish was able to extract himself from the plane, but then fell headlong into a ditch filled with water.
Morris Shoemanhorne, Fish's student, was also able to remove himself from the wreck.
The two were then assisted by mechanics who had been working in the hangar.
Fish suffered only minor injuries while Shoemanhorne had a bruised head & a badly twisted right ankle.
Shoemanhorne's injuries were attended to at the Race Track Hotel & then he was sent home.”
The Wikipedia article continued, “In 1912, the property was purchased by the General Aviation Corporation who named it Atwood Park in honor of pilot Harry Atwood.
Atwood Park was home to one of the busiest aviation schools in the country.
In 1912 the school had 43 students, more than any other aviation school in the U.S.
The school used a Burgess–Wright Model B for instruction.
Atwood was the school's chief instructor, but assistant instructor Arch Freeman did most of the flying.
Ripley Bowman also instructed at the school. Atwood quit on 6/10/12.
The reasons given for his departure were that he could make more money in exhibition flights & he had become disenchanted with Freeman.
Atwood took the school's only plane with him & as a result, the school closed.
None of the students had completed their formal training, but some students, including Jack McGee, Roy Waite, and Ruth Bancroft Law,
had received enough training that they were able to fly their own planes solo.
Waite established a new school at the aviation field that remained open until early 1913.
After Atwood's departure the airfield was known as the Saugus Field, Whittemore-Hamm Aviation Field,
Franklin Park Aviation Field, or the Saugus Race Track, in reference to the property's former use.”
The Wikipedia article continued, “On 10/21/1915, Chauncy Redding & Philip Bulman were killed when their plane crashed about a third of a mile from the airfield.
The plane dropped 800 feet after the supporting braces & wires holding one of the wings suddenly collapsed.”

The last photo to be located showing a plane at Saugus Field was a 6/6/18 photo by Leslie Jones of the first mail plane (model unidentified) to arrive at Saugus Field, in an abrupt fashion (from the MA Digital Commonwealth).
Army Lt. T.H. Webb piloted the plane, carrying 4,400 letters weighing 228 lbs.
The 1918 USGS topo map depicted the oval racetrack, but did not label the Saugus property as an airfield.
According to Wikipedia, “On 5/16/1919, Melvin Hodgdon won the Boston Globe Trophy by flying from Atlantic City, NJ to Saugus in 3 hours & 59 minutes.”
The 1925 USGS topo map continued to depict the oval racetrack, but did not label the property as an airfield.
According to Wikipedia, Saugus Field “remained in use until 1927.
In 1932 the race track was converted into an auto racing facility. It closed the following year.”
Saugus Field was not depicted on the March 1933 Boston Sectional Chart.
According to Wikipedia, “After Massachusetts legalized parimutuel wagering in 1934, a group of area businessmen & government officials
led by Henry Peckham, John Mullen, Charles Friend, Harold Dodge, Frederick Willis, William Landergan, and James McElroy attempted to bring horse racing back to the site.
Mullen even arranged a meeting with his friend Governor Joseph Ely in an attempt to get his assistance.
Ely refused to express any opinion on the matter & stated that the matter was for the Racing Commission to decide.”
A 1938 USGS aerial photo depicted the remains of the oval racetrack, but did not show any recognizable trace of an airfield.
According to Wikipedia, “In 1940, property owner Godfrey Cabot offered the site to the U.S. Navy for use as the location of its main New England dirigible base.
In 1948 he donated the land to Northeastern University.
In 1950 a proposal was made to construct a $5 million gasoline storage plant on the site.
In 1970 developer George Page & property owner Martin DeMatteo presented the Board of Selectmen with a plan to build a 60,000 seat stadium on the property.
The plan was opposed by conservationists who objected to building a stadium on Rumney Marsh,
and it was abandoned when the Boston Patriots chose Foxborough, MA as the location of their new stadium.
Since 1990, the property has been owned by the Department of Conservation & Recreation (formerly the Metropolitan District Commission).”

A circa 2010-2016 aerial view looking north at the remains of the oval racetrack of Franklin Park, within which was presumably the airfield of Saugus Field.

A 2016 aerial view looking northwest at the remains of the oval racetrack of Franklin Park, within which was presumably the airfield of Saugus Field.
The site of Saugus Field is is located south of the southwestern terminus of Saugus Avenue, appropriately enough.
Thanks to Sandy Muise for pointing out this airfield.
____________________________________________________
Shawsheen Pines Airport / Billerica-Wilmington Airport, Billerica, MA
42.55, -71.21 (Northwest of Boston, MA)

Shawsheen Pines Airport, as depicted on the July 1946 Boston Sectional Chart.
No airfield was yet depicted at this location on a 1938 aerial photo, on the 1945 Boston Sectional Chart,
nor listed among active airfields in the 1945 AAF Airfield Directory (courtesy of Scott Murdock).
According to an article in the 10/20/10 Wilmington Town Crier (courtesy of Glenn Bergeron),
“The airport was started in 1946 by a Woburn man, Russell Todman,
who built a small airstrip in a field on Hopkins Street, at the Wilmington - Billerica town line.
There was a hangar & a few J3 Piper Cubs.
Before long, auto dealer Fred Cain offered to go into a partnership with Todman.
Cain was then the 2nd-largest dealer for International Harvester trucks in New England.
With this equipment, Cain built Todman’s little airstrip into an airport.”
The article continued, “Cain then went to Texas, where he bought 3 AT-6 trainers & 2 twin-engine Cessnas.
He had them refurbished & flown to the little airport.
The airport had 2 hangars, Quonset hut buildings, next to Hopkins Street.
Cain brought in a flight instructor, John Hanson, and a mechanic, Larry Teed, who started a flight school.
Things went well until Todman allowed someone to take up a plane after only one lesson, after being told specifically not to do that.
The plane, an AT-6, only had one hour on it since being rebuilt.
The flight went well, except for the landing, when the plane hit a stone wall.
Frustrated with the lack of cooperation, Cain said he wanted to get out.
Hanson & Teed bought land in Tewksbury & established the Tew-Mac Airport.
The airport property was eventually sold for $45,000.”
Chuck Mason recalled, “It was opened in 1945 & I soloed there in October that year with Russ Todman as my instructor.
By the way, I set a record there that to my knowledge was never broken - I soloed in 4:20.
Johnny Hanson gave me my private check ride in April 1946.
I earned flying time at the airport as a line boy, 1 hour of solo time for 8 hours of work.
Frank Teed was the main mechanic there.
To earn my flying time I washed airplanes, did the line boy job, helped build the hangar
and did anything else around the airport to earn flying time which was $8/hour wet in a Piper J-3 Cub.
We flew on skis in the wintertime.”
The earliest aeronautical chart depiction which has been located of this airport was on the July 1946 Boston Sectional Chart.
It depicted “Shawsheen Pines” as a commercial/municipal airport.

The earliest photo which has been located of Billerica Airport was a July 1946 aerial view looking east.
It depicted an unpaved east/west runway.

An August 1946 plan of the Billerica-Wilmington Airport from the Middlesex North Registry of Deeds (courtesy of Paul Chalifour).
Notably it depicted a more elaborate planned airport than was ever built,
with a hangar on the north side of the single east/west runway, but also with 2 planned (but never-built) runways to the southwest.
Bob Bunton recalled, “Billerica/Wilmington, circa 1946, they had a bustling business with about 10 Cubs & many other types including UC-78s.
I got my first instruction there.”
John Collins recalled, “I remember seeing a sign on a hangar saying 'Authorized Cessna Service'.
I also remember an arrow on the roof of a veteran's organization building, near the Wilmington town green, pointing to this airport.
The building is no longer there [as of 2013].”

The 1949 Boston Local Aeronautical Chart depicted Shawsheen Pines Airport as having a 2,200' paved runway.

The 1950 USGS topo map depicted a clearing & 2 buildings at the location of Billerica-Wilmington Airport, but did not label the airport.

A circa 1950s photo of a Piper L-4 at Billerica-Wilmington Airport (courtesy of Paul Chalifour).
Paul Chalifour observed, “To the right of the house out of frame would be the 2 hangars. ”

An undated aerial view looking northeast at Billerica-Wilmington Airport (courtesy of Paul Chalifour) showed the field having 2 arched-roof hangars,
a dozen T-hangars, and several light planes on the side of an unpaved runway.
Paul Chalifour observed, “This photo shows it probably in full operation so early 1950s I'm guessing.”

An undated (circa early 1950s?) photo of Billerica-Wilmingon Airport,
showing a biplane sans wings, a Cessna T-50, and a Fairchild PT-26.

The last aeronautical chart depiction which has been located of Shawsheen Pines Airport was on the May 1953 Boston Sectional Chart.
It depicted Shawsheen Pines Airport as having a 2,100' paved runway.
Shawsheen Pines Airport was evidently closed at some point between 1953-55,
because it was no longer depicted on the May 1955 Boston Sectional Chart.
According to Paul Chalifour, “My father says the airport was defunct as a business by the late 1950s
but remembers the strip still being used by local pilots for touch & go's in the 1960s.”

Billerica-Wilmington Airport was evidently closed by 1963,
as a 4/28/63 USGS aerial photo showed the field still remaining intact, but seemingly abandoned.
The Aerodromes table on the chart described Billerica-Wilmington as a private field having a single 1,300' bituminous runway,
with the crosswind runway evidently having been abandoned.
According to Paul Chalifour, “My first recollection is from 1968-69. I lived about a mile away & often drove by it with my parents.
I remember hiking through the woods from my childhood home about a mile or so away to play in the abandoned hangars.
As I recall they were corrugated Quonset-type buildings with checkerboard patterns on the roofs
(all that is left are partial pieces of their slab foundations).
There was also a nightclub adjacent called the 'Skyport Lounge'.
The airport was not in business but hangars were there into the late 1970s / maybe early 1980s.”
A 1971 aerial view showed that the Billerica-Wilmington hangars still remained standing, and the runway remained intact, though deteriorated.
The June 1975 Boston Terminal Aeronautical Chart (courtesy of Mitchell Hymowitz) no longer depicted Billerica-Wilmington Airport.
A 1978 aerial view showed that the hangars had been removed at some point between 1971-78, but their foundations remained recognizable.
The area of the runway remained clear.
A 1995 aerial view showed that a large industrial building had been constructed over the site of the hangars.
The majority of the runway area remained clear, but was no longer recognizable as such.

A 2000 street map annotated to show the location of the Billerica-Wilmington Airport runway (courtesy of Robert Atkinson).

A 6/18/10 aerial photo showed the faintest trace of the former east/west runway in the woods at the site of Billerica-Wilmington Airport.

A 2000 photo by John Collins of the site of Billerica-Wilmington Airport.
Paul Chalifour reported in 2013, “The hangars, house (office), runway, and plane shelters are all gone.
However, the large farmhouse above the hangars still stands. It's on the corner of Dorchester Street & Alexander Road.
In the area of the single-plane shelters now stand 2 multi-bay single story industrial buildings.”
Paul Chalifour reported in 2021, “Foundations for hangars are still there but overgrown with trees.
A beaver built a dam on the adjacent stream & a good portion of the former runway is underwater.”
The site of Billerica-Wilgmington Airport is located northeast of the intersection of Alexander Street & Cessna Road, appropriately enough.
____________________________________________________
42.56, -70.96 (Northeast of Boston, MA)

A 12/1/55 USGS aerial photo of Robbins Airport.
This private airfield was evidently established at some point between 1949-55,
as it was not yet depicted at all on a 1938 aerial photo, the 1949 Boston Local Aeronautical Chart (courtesy of Tim Zukas),
or the 1949 USGS topo map.
The earliest depiction which has been located of Robbins Airport was a 12/1/55 USGS aerial view.
It depicted a single very short unpaved northwest/southeast runway, with some buildings on the southeast side.

The 1956 USGS topo map depicted Robbins Airport as having a single northwest/southeast runway with several buildings, but did not label the airport.
According to John Ford of Les Vants Aerial Photos, “I know it was operational in the late 1950s.”
However, Robbins Airport was not yet depicted at all on the June 1959 Boston Local Aeronautical Chart (according to Chris Kennedy).

The earliest aeronautical chart depiction of Robbins Airport which has been located was on the November 1959 Boston Sectional Chart.
It depicted Robbins as a private field having a mere 1,300' runway.
The 1962 AOPA Airport Directory described Robbins as a private field, operated by Earle Robbins,
having a 1,400' paved Runway 13/31 & a 1,500' sod Runway 9/27.
Robbins was described in the same manner in the 1963 AOPA Airport Directory (courtesy of Chris Kennedy).
David Savage recalled, “I did a little flying out of Robbins Field.
It was a private field & before Earle Robbins would let you fly into it, you had to drive in & get checked out by him or one of his instructors.
He threatened to have anyone arrested for trespassing if they did not follow his rules.
It was a short runway with a lot of obstacles, but by pilots following his rules, they had an excellent safety record.”
Al Palladino recalled that Robbins was “owned & operated by Earl Robbins
who was also the only flight instructor & also owned an adjoining lumber yard.
His strip was very small & demanding however Earl was a great instructor.”

The Aerodromes table on the 1965 Boston Sectional Chart (courtesy of John Voss)
described Robbins as a private field with a single 1,461' bituminous runway.
A 1965 aerial photo showed Robbins Airport had gained a longer paved east/west runway on the opposite (south) of the railroad.
One light single-engine plane was parked near 4 hangars south of the runway.
The status of Robbins Airport may have changed to a public-use airfield at some point between 1963-67,
as the 1967 AOPA Airport Directory (courtesy of Chris Kennedy) gave no indication of the field being private.
The field had a single 1,500' bituminous-concrete Runway 10/28.
The operator was listed as Robbins Air Taxi Service, and the field was listed as offering fuel, minor repairs, hangars, tie-downs, and charter.

The 1968 Flight Guide (courtesy of Robert Levittan) depicted Robbins as having a single paved 1,500' Runway 10/28,
with 5 large hangars on the southeast side, and 4 smaller buildings on the northeast side.

A 1968 photo (courtesy of Scott Traill) of his father (Dusty Traill)
in a single-seat Mooney Mite (“Thumper 1”) on the runway at Robbins.
A 1969 aerial view showed that Robbins had a single east/west paved runway.
The former northeast/southwest runway was still visible, but appeared to be abandoned.
Several hangars were on the south side, along with 9 light aircraft.
Scott Traill recalled, “My Dad [Dusty Traill] flew out of Robbins Airfield on a regular basis during the 1960s & early 1970s.
Mostly he flew a Tripacer with a (new at the time) folding computerized night-sign
that was towed behind the plane over Fenway in Boston & surrounding areas at night.
It was a very busy little airport at the time & I will always remember going for plane rides as a child from there.”

The 1970 USGS topo map depicted Robbins as having a single east/west paved runway, labeled simply as “Landing Strip”.
The former northwest/southeast runway on the opposite side of the railroad tracks was depicted as having become a street.
The status of Robbins Airport evidently changed back to a private field at some point between 1967-71,
as that is how it was depicted on the January 1971 NY Sectional Chart (courtesy of Chris Kennedy).

A 1971 aerial view depicted Robbins Airport as having a single paved east/west runway.
A total of 6 hangars were located along the south side of the field, and 2 light aircraft were visible parked outside.

An undated (circa 1970s?) photo of 4 Pipers & the Robbins Airport sign (courtesy of Earlene Robbins Goodwin).

An undated (circa 1970s?) business card for Robbins Air Charter Service (courtesy of Earlene Robbins Goodwin).

A 1972 aerial view looking southwest at Robbins Airport by John Barnes (courtesy of Brian Barnes).
The airport office was visible at left, with another 5 hangar buildings on the south side of the runway.
A single aircraft was visible parked outside. John recalled, “I learned to fly at Robbins Airport that year.”

Two 1972 photos of the Robbins Airport ramp & office by John Barnes (courtesy of Brian Barnes), showing 3 Pipers parked on outside.
Rand Peck recalled, “I instructed at the Beverly Airport from 1972-74
and remember Robbins Airport, located just off the end of our westbound runway.
I never landed there but remember seeing airplanes parked at the field as we flew over
and do remember an occasional arrival & departure down there too.
Beverly of course, was an uncontrolled field at that time, so little conflict existed.”

The last aeronautical chart depiction which has been located of Robbins Airport
was on the June 1975 Boston Terminal Aeronautical Chart (courtesy of Mitchell Hymowitz).
It depicted Robbins as a private field having a 1,500' unpaved runway.
Robbins Airport was no longer depicted at all on the 1977 USGS topo map.
According to Earlene Robbins Goodwin, “My father was Earle Robbins.
In 1977 Thomas Decoff purchased all the land, except the 15 Collins Street house & immediate property, once belonging to Earle Robbins.
This was my childhood home from 1947-63.
In 1977 it was Robbins Airport, but was no longer in operation. Earle Robbins passed in 1978.
Tom subdivided the land & built condos just about where the 'new' runway used to be & Merrimack Valley Distributors on some of the rest of land.”
A 1978 aerial photo showed Robbins Airport appearing still largely intact,
but no aircraft were visible on the field, and the western-most hangar had been replaced by a large building (presumably not airport-related).
Robbins Airport was no longer depicted on the December 1979 NY Sectional Chart (courtesy of Ron Plante).
However, Robbins was still listed as an active airfield in the 1982 AOPA Airports USA Directory (courtesy of Chris Kennedy),
although it was noted to be “Private. Closed to public.”
It was described as having a single 1,500' asphalt Runway 10/28.

Robbins Airport was evidently closed by 1996, as the 1996 USGS aerial photo showed that the middle of the paved runway had been bisected by the parking lot of a large building
which had been constructed on the south side of the former airport property.
The remainder of the length of the runway was otherwise intact.
Five hangars had been removed at some point between 1971-96, leaving only a single hangar on the southeast side of the field.
No trace remained of the original runway on the north side of the railroad.

A July 1999 aerial photo by John Ford of Les Vants Aerial Photos looking west at the site of Robbins Airport, with the remains of the former paved runway still intact.
A single hangar still remained standing, at the bottom-left of the photo.

An April 2005 aerial photo by John Ford of Les Vants Aerial Photos looking west at the site of Robbins Airport.
By comparing with the 1999 aerial photo, it can be seen that townhouse development
had covered the eastern end of the former runway at some point between 1999-2005.
The remains of the western half of the former runway were still visible at the top of the photo.

A 2016 aerial view showed the remains of the western half of the runway were the sole remaining trace of Robbins Airport.

A 10/6/16 photo by Earlene Robbins Goodwin of the Robbins Landing sign on the site of Robbins Airport.
Earlene remarked, “The condos on the edge of the old runway are named Robbins Landing. What a thrill to see that sign.”

A 10/6/16 photo by Earlene Robbins Goodwin of the site of Robbins Airport.
Earlene remarked, “There is also a fitness facility near what we called the 'old' runway, which is totally overgrown, even with some large trees.
The tarmac can be seen in cracks & pieces here & there. Such a symbol of passing time & the changes that come with that.”
The site of Robbins Airport is located south of the intersection of Collins Street & Holten Street.
____________________________________________________
Muller Field / Riverside Airport / Revere Airport, Revere, MA
42.43, -71.02 (North of Logan Airport, MA)

An advertisement for Old Colony Airways Corporation at Muller Field
from the 4/23/28 issue of Aviation Magazine (courtesy of Chris Kennedy).
This former general aviation airport & seaplane base was located along the southwestern bank of the Pines River.
The date of construction of Muller Field is unknown.
The earliest reference to Mueller Field which has been located
was a 4/17/1925 article (according to Lou Spagnola) which referenced "the new aviation field."
The 4/23/28 issue of Aviation Magazine (courtesy of Chris Kennedy)
had an advertisement for Old Colony Airways Corporation at Muller Field
According to the MA Aviation Historical Society's 2015 Calendar (courtesy of Bill Deane),
“The meandering inlet just beyond the airfield was dredged for a seaplane base, later canceled.
The fill was used for Logan Airport runways.”

The earliest depiction of Mueller Field which has been located
was on the 1929 Rand-McNally Air Trails Map of Massachusetts (courtesy of Chris Kennedy).
It described Muller Field as a commercial field operated by the Old Colony Airways Corporation.
It was said to consist of a 1,500' x 1,000' field.
The July 1931 Airports & Landing Fields in New England (courtesy of Chris Kennedy)
described Muller Field as a private airfield, consisting of a 290 acre sod field.
It was said to have 2 runways (2,500' northeast/southwest & 1,500' east/west) and 3 hangars.
The commercial operators were listed as Beacon Airways & A.T. Zwink, and the owner was listed as William Muller.
Rich Cardinale recalled, “My family literally lived across the street since my grandfather bought land there in 1909.
My father remembers it as a young boy as being a busy little place.”
The Airport Directory Company's 1933 Airport Directory (courtesy of Chris Kennedy)
described Muller as a commercial field, consisting of a 200 acre sod field.
It was said to have 2 runways (2,500' northwest/southeast & 1,500' northeast/southwest).
A hangar was said to be marked with “Muller Field”.
In the early 1930s, the Gee Bee Sporter Model B had a restricted license,
and was restricted to exhibition flights at Muller Field, Revere.
A biography of Julius Goldman said that he took his first flight at Muller Field in the early 1930s.

The earliest aeronautical chart depiction of Mueller Field which has been located was on the 1933 Boston Sectional Chart.
It depicted Muller as a commercial/municipal airport.
Muller Field was listed among active airfields in the 1934 Commerce Department Airfield Directory (according to Chris Kennedy).

A circa 1930s photo of Thomas Croce in front of an unidentified biplane, presumably at Muller Field (courtesy of Samantha Croce).
Samanta Croce reported, “My great grandpa was Thomas Croce. He was an aviator in the 1920s-1940s & was heavily involved with Revere Airport.
He had multiple business ventures like Flying Cloud Air Sevices & he had several patents including a safety control device for airplanes during flying lessons.”
The Airport Directory Company's 1937 Airport Directory (courtesy of Bob Rambo)
described Muller Field as a commercial airfield, consisting of a 200 acre sod field.
It was said to have 2 runways in an L-shape, measuring 2,500' northwest/southeast & 1,500' northeast/southwest.
A hangar was said to be marked with “Muller Field”.

The 1937 “Progress Report of the Committee For Aeronautics of the Commonwealth of MA” (courtesy of Jonathan Westerling)
depicted Revere Airport as an irregularly-shaped field within which the longest landing distance was 1,600' north/south.
Three hangars & an office building were depicted on the southwest side of the field.

Muller Field was evidently renamed “Riverside” at some point between 1937-38,
as that is how it was listed in The Airport Directory Company's 1938 Airport Directory (courtesy of Chris Kennedy).
An aerial view looking northwest at the field depicted it as having a row of hangars along the southwest side.
Strangely, the field was described as much smaller than only the year before – only 60 acres in size.
It was said to have 2 runways, measuring 2,000' northwest/southeast & 1,200' northeast/southwest.
A hangar was said to be marked with “Revere”.

A 1939 aerial view looking west at the west side of Muller Field along Squire Road (courtesy of Lou Spagnola) showing a large number of cars & spectators (some kind of show?),
a row of light single-engine planes, and severla hangars, including one with “Muller Airport” painted on its roof.
David Rosen recalled, “As a youngster in the 1930s & 1940s I remember watching small planes land & take off at the Revere Airport.”
Riverside Airport was described in The Airport Directory Company's 1941 Airport Directory (courtesy of Chris Kennedy)
as a commercial field, consisting of an irregularly-shaped 60 acre sod property.
However, the number of runways had increased to 3 – with the longest being a 2,000' north/south strip.
A hangar was said to be marked with “Revere”.

A March 1941 aerial view looking northeast (from the MA Aeronautics Commission) depicted Muller Field
as having several hangars on the south side of a grass airfield.
The May 1941 Boston Sectional Chart (courtesy of Chris Kennedy) depicted Riverside as a commercial/municipal field.
Carole McCarthy reported, “My father received his Private Pilot License from the Bayside Flying Service Inc. which operated out of Muller Airport in 1941.”

A 5/8/42 receipt from Muller Airport's Bayside Flying Service for Allan MacDonald's demonstration flight lesson (courtesy of Paul MacDonald).
Paul MacDonald reported, “In June 1942 my dad joined the Navy. He told the recruiter he had taken flying lessons & wanted to fly 'high & fast' in fighters.
Well the 'flying lessons' actually happened a month earlier at Muller Airport in Revere: 5/8/42. My dad went on to fly F6F Hellcat & F4U Corsair.”

A 10/30/42 aerial view looking north (from the MA Aeronautics Commission) depicted “Muller Airport” as having several hangars on the south side of a grass airfield, but it was devoid of aircraft.
It was once again depicted as “Muller” on the November 1942 & May 1943 Boston Sectional Charts (courtesy of Chris Kennedy).
Muller Airport was evidently closed at some point between 1943-44,
as it was not depicted at all on the November 1944, June 1945, or December 1945 Boston Sectional Charts (according to Chris Kennedy),
nor depicted on the 1946 USGS topo map.
It is possible that the airfield may have been temporarily closed during WW2
(as was the case at many other small civilian airports, due to wartime security concerns).
According to David Rosen, “During WWII the airport became a military installation with test runs for small tracked military vehicles.”
In 1946 Julius Goldman purchased Muller Field & opened Revere Airways,
which he operated as President, general manager and chief pilot from 1946-61.

The former Muller Field had evidently been renamed Revere Airport after being purchased by the owner of Revere Airways,
as the 1946 USGS topo map labeled the field as "Revere Airport".
It depicted Revere Airport as having 3 runways (with the longest being 3,000'), with 5 hangars along the southwest side.
The pond northwest of the runways was labeled as a "Seaplane Basin".

A July 1946 aerial view looking south (from the MA Aeronautics Commission) depicted Rever Airport
in a new improved post-WW2 configuration, with 3 runways, several hangars on the south side, and several light aircraft visible.
According to David Rosen, “The airport reopened after the war.
There was a time in the late 1940s, in the summer, when an advertising blimp anchored there,
in addition to the regular lineup of Piper Cubs, Aeroncas, Cessnas etc.”

Curiousy, the 1949 Boston Local Aeronautical Chart Revere Airport misspelled the name of the airport, as “Reverse”.
It was depicted as having a 2,700' paved runway.

A 1949 photo by Tony Sofia of a Revere Airways Cessna T-50 Bobcat inside a Revere Airport hangar.

A 1949 photo by Tony Sofia of a New England Central Airways Airways Cessna T-50 Bobcat in front of a Revere Airport hangar.

A 1949 photo by Tony Sofia of a Taylorcraft at Revere Airport.
Tony Sofia recalled, “Revere Airport... At age of 13 in 1949, I 'worked' for an ex-Navy pilot who flew banners using a Stearman PT-17.
He had it modified to pick up the sign using an assembly like landing on an aircraft carrier.
I assembled the banners & laid them on the edge of the main (13/31) runway.
The mechanic working there taught me how to drive the airport’s jeep.”

A 1949 photo by Tony Sofia of a Globe GC-1B Swift in front of a Revere Airport hangar.

A 1949 photo by Tony Sofia of a Vultee BT-13 & several other light single-engine planes near the Revere Airport gas pumps, and one plane in the air.

A 1949 photo by Tony Sofia of a Republic RC-3 SeaBee at Revere Airport.
Tony recalled, “Revere Airport had a crude seaplane basin for a while.”
The 1950 USGS topo map depicted Revere Airport in the same fashion as the 1946 topo map.
Of Revere Airport, Sal Gesamondo recalled, "It is the place I took my first airplane ride in a Piper Tri-Pacer for $2.50."
Wayne Irwin recalled, "When I was a kid & living in the Greater Boston area,
my father used to take my brother & I to a small airport in Revere.
I remember quite clearly being parked next to it & watching small aircraft take off & land.
This would have been in the late 1940s & early 1950s."

A 1950 advertisement for Revere Airport featured an undated aerial photo highlighting 3 paved runways & an adjacent Seaplane Basin.
The 1950 USAF Pilot's Handbook (courtesy of Chris Kennedy) depicted Revere as having an airport & adjacent seaplane base.

A 1953 photo of Elizabeth Haynes upon “Firebird”, her PT-23 at Revere Airport.
Elizabeth recalled, “I bought a war surplus Fairchild PT-23, NC 40014, (built by the St. Louis Boxcar Co.) for $500 shortly after the war,
and flew it from Bailey's Crossroads Airport [VA] to Revere Field, north of Boston.
I was a lieutenant in the Air Force at the time & was attending graduate school in meteorology.
I earned my private [pilot's] license there in 1953.
Flying home from Revere to Hybla Valley [VA], I could beat Eastern Airlines in DC-3s changing planes at LaGuardia.”



A still from a 1953 movie by Jim Boudreau (courtesy of Jamie Boudreau) of a Revere Airport hangar.


A 1954 aerial view looking northeast at Revere Airport (from the MA Aviation Historical Society's 2015 Calendar, courtesy of Bill Deane)
depicted it as having 3 runways, several hangars with checkerboard roofs on the southwest side,
and a dozen single-engine aircraft visible parked outside.

A 12/1/55 USGS aerial view showed Revere Airport to have 3 runways, several hangars with checkerboard roofs on the southwest side,
and a dozen single-engine aircraft visible parked outside.

The last photo which has been located showing Revere Airport was a 1956 aerial view looking southwest (courtesy of Lou Spagnola).
Lou Spagnola observed, “You can see the new expressway getting started & one of the 3 runways eliminated.”
More than 20 light planes were still visible on the field though.

The 1956 USGS topo map still depicted Revere Airport, but between 1950-56 a new highway interchange had been built on the northwest side of the airport,
perilously close to the runways.

The 1960 Jeppesen Airway Manual (courtesy of Chris Kennedy)
depicted Revere Airport as having 2 paved runways (2,415' Runway 13/31 & 1,740' Runway 1/19) as well as a 3rd (abandoned) runway.
Taxiways led to a ramp on the southwest side of the field with several small hangars.
In 1961, Revere Airways moved from Revere Airport to Beverly Airport.

A 1961 aerial view (courtesy of Lou Spagnola) looking southeast at Revere Airport.
Lou Spagnola observed, it shows “the airport as well as the new rotary & Northeast Expressway that shortened one runway & eliminated another.
The runway that heads off the left side of the page went towards the seaplane basin.”
Revere Airport, as depicted on the November 1961 Boston Local Aeronautical Chart (courtesy of Mike Keefe).
By 1962, Revere's runways had shrunken both in number & length.
The 1962 AOPA Airport Directory described Revere as having 2 bituminous runways: 2,400' Runway 13/31 & 1,750' Runway 1/19.
The operator was listed as Revere Airways Inc.
The Revere Seaplane Base was described as having a 3,300' water landing lane 13/31, but the remarks said "Emergency use only."
According to a 4/24/62 Boston Globe article (courtesy of Peter Diforte), Revere Airport closed the previous day, 4/23/62.
The 50 based aircraft were to be moved in a "2 day mass flyover" to Beverly Airport.
Four of the "original" 11 hangars remained at closure, one of which was sold to the Orange Parachute Club.
Industrial centers were eating away at the hangars, and the taxes were too high in Revere.
A main reason for closure was the planned construction of the Northeast Expressway, which ironically was abandoned in the early 1970s & never constructed.
Revere Airport was not depicted at all on the December 1962 Boston Local Aeronautical Chart (courtesy of Mike Keefe).

A 1964 aerial view (courtesy of Lou Spagnola) looking northwest at the northern portion of the Revere Airport site, covered by the Northgate Shopping Center.
The remains of the northern end of Runway 1/19 were still visible extending beyond the shopping center, at the top-right of the photo.
According to David Rosen, an arch-roof hangar on the airport's southwestern end
“was converted into an appliance retail store when the airport finally closed down.”

A circa 2006 aerial view looking east at an former hangar which remains standing on the southwestern portion of the former airport, reused as a Sozio furniture store.

A 2015 photo of the former Revere Airport hangar, reused as a Sozio furniture store.

A 2016 aerial view shows the shopping center which occupies the site of Revere Airport.
David Gray reported on 2/17/18 that the former Revere Airport hangar which had remained standing as a Sozio furniture store
was consumed in a “5-alarm fire that started in the Sozio buiding.”
The site of Revere Airport is located northwest of the intersection of Cutler Highway & Broadway.
____________________________________________________
Salem Coast Guard Air Station, Salem, MA
42.527, -70.869 (Northeast of Boston, MA)

The Salem Seaplane Anchorage, as depicted on the 1929 Rand-McNally Air Trails Map of Massachusetts (courtesy of Chris Kennedy).
The earliest depiction of a seaplane facility in Salem which has been located
was on the 1929 Rand-McNally Air Trails Map of Massachusetts (courtesy of Chris Kennedy).
It listed the facility as the Salem "Seaplane Anchorage", but did not describe the operator of the facility or any other details.

A March/April 1934 photo by William Jeffrey showing the Coast Guard Air Station Salem seaplane ramp under construction (from an album by a Salem Evening News photographer, courtesy of Ron Janard).
According to an album by a Salem Evening News photographer (courtesy of Ron Janard),
in March 1934 the Coast Guard commenced construction for a seaplane facility in Salem, to replace a smaller installation in Gloucester.
The base was located on a peninsula, Salem Neck, which juts out into Salem Harbor.
The base was first occupied 1/12/35, but its official opening was delayed until 2/15/35 when planes 161 & 405 were placed in service.

A circa 1935 photo by William Jeffrey of one of Coast Guard Air Station Salem's first two aircraft: #405, a biplane floatplane (model unidentified)
(from an album by a Salem Evening News photographer, courtesy of Ron Janard).
Salem boasted what were at the time state of the art communications & modern repair facilities,
being designed to handle the larger flying boats of the time.
Its aviation facilities consisted of a single hangar, a paved 250' square parking apron,
and 2 seaplane ramps leading down into the waters of Salem Harbor.
CGAS Salem performed a total of 26 medevac missions during its first year of operation,
according to an article in the June 2004 issue of Naval Aviation News (courtesy of John Voss).

A 1937 photo of a General PJ-1 flying boat inside the CGAS Salem hangar.

A circa 1938 photo looking northwest at Coast Guard Air Station Salem, showing a Curtiss SOC-4 Seagull on the ramp & a Fokker-General Aviation PJ-1 in the hangar.

A circa 1930s photo of General Muster of personnel in front of an unidentified flying boat at Coast Guard Air Station Salem (courtesy of Ron Janard).

A circa 1930s photo by Arthur Griffin of an unidentified flying boat (with twin pusher props) in front of the Coast Guard Air Station Salem hangar (from the MA Digital Commonwealth).

A circa 1930s photo by Arthur Griffin of the Coast Guard Air Station Salem hangar (from the MA Digital Commonwealth).
CGAS Salem was not yet depicted on the September 1938 Boston Sectional Chart.

A 6/12/38 photo by William Jeffrey of an RKO Studio crew filming a twin-engine amphibian flying boat (model unidentified) for the movie “Coast Guard” (released 1939) at Coast Guard Air Station Salem
(from an album by a Salem Evening News photographer, courtesy of Ron Janard).

An 11/20/38 USGS aerial photo showed Salem as having a hangar & seaplane ramp.
One or possibly 2 aircraft were visible on the ramp.

Salem CGAS, as depicted on the May 1941 Boston Sectional Chart.
In 1941 air crews from Salem began to fly neutrality patrols along the coast.
The years of the Second World War saw the air station roster increase to 37 aircraft,
making it the second largest Coast Guard station on the east coast.

A circa pre-1943 photo of a Vought OS2U-3 Kingfisher at CGAS Salem (courtesy of Ron Janard).

A 1943 photo of 4 Vought OS2U-3 Kingfishers assigned to antisubmarine duty at USCG Air Station Salem (USCG photo from the C.H. Hamilton collection).

A 1944 photo of an OS2U-3 loaded with depth charges preparing to launch from CGAS Salem.
In October 1944, Air Station Salem was officially designated
as the first US Air-Sea Rescue service on the eastern seaboard.
Salem CGAS was not yet depicted on the 1945 USGS topo map.

A 1945 aerial view looking north at CGAS Salem,
with several aircraft on the ramp, and one flying by at the bottom of the photo.

A 1945 photo of 2 PBM flying boats on the ramp at CGAS Salem.

An undated view of a Grumman Goose amphibian flying boat on the ramp at Salem CGAS.

An undated view of a PBM flying boat on a snowy ramp at Salem.
After the war the Coast Guard found itself with a varied inventory
of helicopters, multi-engined patrol planes, and flying boats.

A 1947 photo of Ltjg. John Weber
at the instructor station of a Link Trainer (an early flight simulator) at CGAS Salem.

A circa 1952 demonstration of a Sikorsky HNS-1 helicopter at CGAS Salem.

A circa 1950s photo looking west at a Martin PBM Mariner flying boats in front of CGAS Salem's hangar (courtesy of Ron Janard).
A 1955 aerial view showed one Coast Guard flying boat on the water just off Salem's ramp,
and at least one other flying boat on the apron.

A 1955 aerial view looking northwest at CGAS Salem showing 2 helicopters & 2 flying boats on the ramp.

The 1956 USGS topo map depicted “U.S. Coast Guard Air Station”.

An undated patch of Salem Air Station Search & Rescue (courtesy of Ron Janard).

A circa 1960s aerial view looking north at a Gruman HU-16 Albatross overflying Coast Guard Air Station Salem (courtesy of Ron Janard).

A circa 1960s photo of Coast Gaurd personnel & a Sikorsky HH-52A Seaguard inside the CGAS Salem hangar (courtesy of Ron Janard).

A circa 1960s Season's Greetings card from CGAS Salem (courtesy of Ron Janard)
showing a Sikorsky HH-52A Seaguard overflying a Grumman HU-16 Albatross.

Two circa 1960s plaques commemorating CGAS Salem (courtesy of Ron Janard),
showing a Sikorsky HH-52A Seaguard & a Grumman HU-16 Albatross.

An undated (circa late 1960s?) photo of a Sikorsky HH-3F Pelican & a damaged Sikorsky HH-5A Seaguard at CGAS Salem (courtesy of Ron Janard).
The last photo which has been located showing CGAS Salem still in operation was a 1969 aerial view,
which showed 2 flying boats on the ramp.

The last aeronautical chart depiction which has been located of CGAS Salem was on the March 1970 Boston Sectional Chart.
With no runways to handle land-plane operations at Salem,
the Coast Guard eventually began to search for a replacement facility for Massachusetts area flight operations.
Salem CGAS was closed in 1970, and Coast Guard operations were moved to Otis Field.

A 1971 aerial view of CGAS Salem, only a year after it was closed.
The ramp had 2 helipad circles painted on it at some point between 1969-71.
The historic CGAS Salem property was turned over to the City of Salem in 1972,
but the facilities of the former Coast Guard Air Station were allowed to slowly deteriorate.
CGAS Salem was no longer depicted on the June 1972 NY Sectional Chart (courtesy of Carl Buick).
In the 1990s a proposal was brought forth to tear down the hangar & replace it with a parking lot,
but this was not carried out.
As of 2003, the property of the former Salem CGAS is reused as the Winter Island Marine Park.
According to an article in the June 2004 issue of Naval Aviation News (courtesy of John Voss),
as of 2004 the original hangar, barracks, dining facility, radio shack,
and motor pool building remained standing, but in poor condition.
An organization called Historic Salem Inc. is attempting to ensure that the property will be preserved.

A circa 2005 aerial view looking north at the former Salem Headquarters building, hangar, and ramp.

A circa 2010-2017 3-D aerial view show of the former CGAS Salem seaplane hangar.

A 2011 photo by Ron Janard looking northwest at the former CGAS Salem hangar.

A 2016 aerial view show the CGAS Salem seaplane facilities to remain intact.

A 2018 photo looking northwest at the former CGAS Salem hangar.
____________________________________________________
Or if you prefer to contact me directly concerning a contribution (for a mailing address to send a check),
please contact me at: paulandterryfreeman@gmail.com
If you enjoy this web site, please support it with a financial contribution.
____________________________________________________
This site covers airfields in all 50 states.