Abandoned & Little-Known Airfields:
Eastern Washington State
© 2002, © 2025 by Paul Freeman. Revised 8/31/25.
This site covers airfields in all 50 states: Click here for the site's main menu.
____________________________________________________
Please consider a financial contribution to support the continued growth & operation of this site.
Ash Airport (revised 4/12/12) - Calkins Air Terminal (revised 9/22/23) - Clarkston Airport / Asotin County Airport (revised 5/27/23)
Curlew Airport (revised 11/25/20) - Dayton Airport (revised 2/8/23) - Northport Airport / James A. Lowry Municipal Airport (revised 5/1/23)
(Original) Pasco Airport (added 3/25/15) - Richland CAP Airport (revised 9/12/19) - Vista Field (revised 8/31/25)
____________________________________________________
46.381, -117.948 (Southeast of Seattle, WA)

Dayton Airport, as depicted on the 1967 USGS topo map.
Yet another of America's thousands of vanished small grassroots airports.
Dayton Airport was evidently established at some point between 1958-67,
as it was not yet depicted on the 1958 USGS topo map.
The earliest depiction which has been located of Dayton Airport was on the 1967 USGS topo map.
It depicted a single paved northeast/southwest runway, labeled simply as “Landing Strip”.
Dayton Airport was not listed in the 1971 WA Pilot's Guide (courtesy of Scott Kimball).

Dayton Airport, as depicted on the 1974 USGS topo map.

The 1981 USGS topo map depicted Dayton Airport as having a single northeast/southwest runway.

The earliest photo which has been located of Dayton Airport (and the only photo showing aircraft at the airport) was a 1996 USGS aerial view looking northwest.
It depicted Dayton Airport as having a single paved northeast/southwest runway,
with 3 light single-engine aircraft parked near a small building on the east side.
Dayton Airport was evidently closed (for reasons unknown) at some point between 1996-2003,
as a 2003 aerial view showed the runway was much less distinct, and no aircraft were visible.
A 2005 aerial view showed the Dayton Airport runway was no longer recognizable, with the land having been returned to cultivation.

A 2009 photo looking southeast at the building (possible former hangar) on the east side of the Dayton Airport site.

A 2016 aerial view looking northwest showed 2 buildings remained on the east side of the Dayton Airport site,
but no trace remained of the former runway.
The site of Dayton Airport is located southwest of the intersection of Route 12 & Whetstone Road.
Thanks to Lee Corbin for pointing out this airfield.
____________________________________________________
Pasco Airport (original location), Pasco, WA
46.244, -119.082 (Southeast of Seattle, WA)

A crowd surrounds several biplanes at the 4/6/26 inauguration of the original Pasco Airport (courtesy of Jeff Adams).
According to Jeff Adams, “In 1925, the Kelly Act directed the Federal Government to contract airmail services,
and Walter Varney was sole bidder for the Pacific Northwest feeder route (C.A.M. 5).
In 1926 the City of Pasco purchased 160 acres of land located approximately 1 mile southeast of the present Tri-Cities Airport facility (east of Oregon Avenue & south of the Cemetery).
The county commissioners provided funds for the county roads crew to build a runway & hangar on this property in 1926.
The first Pasco Airport was built to support the federal contracted airmail services of Varney Airlines.”
The earliest depiction which has been located of the Pasco Airport was a 4/6/26 photo of a crowd surrounding several biplanes
at the inauguration of the original Pasco Airport (courtesy of Jeff Adams).

Three unidentified men at the 4/6/26 inauguration of the original Pasco Airport (courtesy of Jeff Adams).
According to Jeff Adams, “In April of 1926, the first airmail was delivered from the field, including bottled grape juice intended for President Coolidge.”

A 1926 photo of mail being transferred from a horse-drawn stagecoach to a biplane at the original Pasco Airport (courtesy of Jeff Adams).

A circa 1926 Varney Air Lines map (courtesy of Jeff Adams) depicted Pasco Airport
as a square outline having 2 runways with a hangar at the southwest corner.

A circa 1920s photo of a man inserting an envelope in a slot of the fuselage of a Varney Air Lines biplane (courtesy of Jeff Adams).

A circa 1920s logo of Varney Air Lines.

A circa 1926 photo of a Varney Air Lines pilot (courtesy of Jeff Adams).

A 1926 illustration of a Varney Air Lines Swallow biplane (courtesy of Jeff Adams).
According to Jeff Adams, “In 1927 Charles Lindbergh dropped a message onto the original airport location from the Spirit of St. Louis.”
In 1929, the original Pasco Airport's hangar was relocated to the new Franklin County Airport 1 mile northwest, and the original Pasco Airport was evidently abandoned.
The original Pasco Airport was no longer depicted on the April 1936 Spokane Sectional Chart.

A 2013 aerial view showed no trace remaining at the presumed site of the original Pasco Airport.
Thanks to Jeff Adams for pointing out this airfield.
____________________________________________________
Richland CAP Airport, Richland, WA
46.255, -119.27 (Southeast of Seattle, WA)

A circa 1947-48 photo by N.V. Starkebaum of an Aeronca & several other taildraggers at Richland C.A.P. Airport.
The Richland Civil Air Patrol Airport, on the southeast side of the town,
was evidently established at some point between 1945-48,
as it was not yet listed among active airfields in the 1945 AAF Airfield Directory (courtesy of Scott Murdock)
nor depicted on the April 1945 Spokane Sectional Chart (courtesy of Ron Plante).
The earliest photos which has been located of Richland C.A.P. Airport were a series of circa 1947-48 photos by N.V. Starkebaum,
showing a number of small general aviation aircraft & a few small hangars.

A circa 1947-48 photo N.V. Starkebaum of a Navion in front of a hangar at Richland C.A.P. Airport.

A circa 1947-48 photo N.V. Starkebaum of an unidentified glider at Richland C.A.P. Airport.

A circa 1947-48 photo N.V. Starkebaum of “Stinky”, an an ex-RCAF Fairchild PT-26 (identified by John Boyle) which had come to grief at Richland C.A.P. Airport.

The last photo which has been located showing aircraft at the Richland C.A.P. Airport was a 6/2/48 USGS aerial view.
It depicted Richland C.A.P. Airport as having 3 asphalt runways, with a large number of individual T-hangars & 10 light aircraft on the east side.

A June 1948 aerial view N.V. Starkebaum looking west at Richland C.A.P. Airport during the Flood of 1948.
According to Warren Starkebaum, “At the start of the flood, my parents were returning from a trip to Colorado,
and as they passed Lewiston they could hear on the radio reports of the flood.
As they approached Richland, the magnitude of the flood became apparent & they landed in Pasco first.”

A 1950 aerial view by N.V. Starkebaum looking north at Richland C.A.P. Airport.
Warren Starkebaum recalled, “When I was growing up in Richland in the early 1950s,
my dad had a 1946 Stinson Stationwagon & I remember the fun of going for airplane rides with him.
He flew out of the Richland CAP Airport which was located on the edge of the Yakima River just south of I-182 & east of Highway 240.”

The earliest aeronautical chart depiction which has been located of Richland C.A.P. Airport was on the April 1950 Spokane Sectional Chart.
It depicted “Richland (CAP)” as having a 3,400' unpaved runway.

The 1951 USGS topo map depicted Richland C.A.P. Airport as having 3 runways & one small building on the east side.
Jim Hard recalled,”In 1952, I learned to fly in an L-3B that became available after WWII.
The airport I trained at was called the C.A.P. Airport, located on the south side of Richland.
Two dirt runways comprised the field.”
Warren Starkebaum recalled, “The airport was closed to make way for road construction (or the gravel pits) in the late 1950s or early 1960s.”

The last aeronautical chart depiction which has been located of Richland C.A.P. Airport was on the April 1960 Spokane Sectional Chart.
It depicted “Richland (CAP)” as having a 3,000' unpaved runway.
A 11/2/64 USGS aerial photo depicted the Richland C.A.P. Airport as abandoned, with the runways still intact, but gravel pits in the former ramp area.
The June 1965 Spokane Sectional Chart no longer depicted the Richland CAP Airport.
The 1967 USGS topo map continued to depict Richland C.A.P. Airport in the same fashion as the 1951 map.
A 5/1/73 USGS aerial photo depicted some portions of the runways, but the site was being taken over by gravel pits.
The 1978 USGS topo map no longer depicted the runways, and instead labeled the location as a gravel pit.
A 1996 USGS aerial photo no longer depicted any trace of Richland C.A.P. Airport.

A 9/6/12 aerial view showed no trace remaining of Richland CAP Airport.
Thanks to Jim Hard for pointing out this airfield.
____________________________________________________
Calkins Air Terminal, Spokane, WA
47.72, -117.405 (North of Spokane, WA)

An 11/9/41 postmark commemorating the dedication of Calkins Air Terminal (courtesy of John Townsley).
According to Tuffy Luhr (from the essay “Tuffy's War” courtesy of John Townsley), “Just a few days before the beginning of the war, in 1941, Claude Calkins, opened Calkins Air Terminal.”
A 4/21/41 article in the Spokane Daily Chronicle (courtesy of John Townsley) stated that Calkins’ intent with Calkins Field
was to create “a fine airfield on which student flyers & private owners” could operate “without the risk of rubbing wings with army bombers or commercial transports.”
According to John Townsley, “Up until that point Felts Field was Spokane’s primary airport.
It had long combined commercial, military, and private aircraft.
But as various Chronicle articles published the summer before the outbreak of war indicated -
talks in support of the nation’s military buildup had begun between the army & Spokane’s city council
regarding the possibility of the military taking a lease that would give it 'complete control' over Felts Field.
After such control was granted, all further private use could be modified any time such conflicted with what the army considered 'military necessity.'
Any such operational modifications could leave the civilian lease holders & their businesses out in the cold.
Due to the concurrent development of the totally military Sunset Field (later renamed Geiger) to the west of Spokane, the army never exercised said military necessity.
But all the ongoing uncertainty surrounding Felts Field was likely to have made Calkins Field very attractive to private aircraft owners
during what would prove to be the last few months of peace.”
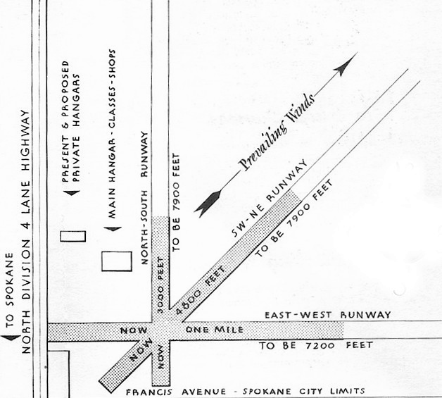
According to John Townsley, “Claude Calkins had started toward his vision by quietly buying individual parcels totally 800 acres north of Spokane.
This block of properties ran 1.5 miles north & one mile east from the corner of Division Street & Francis Avenue.
During the winter of 1940-41 trees were removed & the necessary grading done.
The first mile-long northeast/southwest landing strip - oriented to 'the direction of prevailing winds' - was completed at the beginning of May.
Plans called for another runway, this time running north/south to parallel Division Street, as well as a 3rd to trace the eastward march of France Avenue.”
Calkins Air Terminal was not yet depicted on the August 1941 Spokane Sectional Chart.
An 11/9/41 postmark (courtesy of John Townsley) commemorated the dedication of Calkins Air Terminal.
According to the Spokane Daily Chronicle, soon after the beginning of the war Calkins Field became a site for training flight instructors -
“first under the Civilian Pilot Training Service, then under the War Training Service.”
Tuffy & Orland’s eventual dealings with Calkins Field were in all probability associated with those programs.

The earliest aeronautical chart depiction which has been located of Calkins Air Terminal was on the January 1942 Spokane Sectional Chart.
It depicted Calkins as a commercial/municipal airport.

A circa 1943-45 aerial view looking north from the 1945 AAF Airfield Directory (courtesy of Scott Murdock) depicted Calkins Air Terminal as having 2 runways in an X-shape.
The 1945 AAF Airfield Directory (courtesy of Scott Murdock) described Calkins Air Terminal as a 960 acre irregularly-shaped property
having 2 sod & earth runways, the longest being the 5,280' east/west strip.
The field was said to have 3 hangars, the largest being a 100' x 50' wooden structure, and to be owned & operated by private interests.

The 1948 USAF Spokane Urban Area Chart (courtesy of John Townsley) depicted Calkins Field as having 2 runways.

A circa 1940s aerial view looking northwest (courtesy of Dale Fruit) depicted Calkins Air Terminal as having 1 single-engine light plane & 2 hangars next to some unpaved runways.
Dale Fruit recalled, “Claud Calkins was my great uncle.”

Calkins Air Terminal had evidently gained a 3rd runway at some point between 1948-50,
as the 1950 USGS topo map depicted it as having 3 paved runways, with a complex of buildings to the northwest of the runway intersection.

A circa 1950s brochure (courtesy of John Townsley) depicted future plans for runway lengthening at Calkins Air Terminal.

A circa 1950s brochure (courtesy of John Townsley) touted Calkins Aircraft Company.

The last aeronautical chart depiction which has been located of Calkins Air Terminal was on the October 1958 Spokane Sectional Chart.
It depicted Calkins as having a 5,000' unpaved runway.
The last topo map depiction which has been located of Calkins Air Terminal was on the 1958 USGS topo map,
which depicted it in an identical fashion to its depiction on the 1950 USGS topo map.

The last depiction which has been located of Calkins Air Terminal was on a 1959 street map (courtesy of Kevin Walsh),
which depicted Calkins as an irregularly-shaped property outline.
According to John Townsley, “The airport seemed to be doing quite well until the latter half of the 1950s.
And then, in the summer of 1959, developers such as Gus Cozza began turning the airfield into urban sprawl.”
Calkins Air Terminal was no longer depicted on the April 1959 Spokane Sectional Chart.
Calkins Air Terminal was no longer depicted on the 1964 USGS topo map,
which instead depicted several streets having been built through the site of the little airport.

A 7/2/13 aerial showed no trace of Calkins Air Terminal.
Thanks to John Townsley for pointing out this airfield.
____________________________________________________
Vista Field (S98), Kennewick, WA
46.22, -119.21 (Southwest of Spokane, WA)

A 3/19/43 USN aerial view of Vista Field in its original 4 runway configuration (from the National Archives, courtesy of Brian Rehwinkel).
According to Vistafield.org, “In 1942 the Kennewick Irrigation District (KID) acquired land in the area of what is now Vista Field.
In the same year the KID transferred some of the land to the City of Kennewick for a municipal airport.
The United States Government leased the facility from the city
and the U.S. Navy used the site for an auxiliary airfield during World War II [associated with NAS Pasco].”
The earliest depiction which has been located of Vista Field was a 3/19/43 USN aerial view (from the National Archives, courtesy of Brian Rehwinkel)
showing its original configuration of four 1,650' runways, with 3 biplane trainers visible.
Brian Rehwinkel noted, “The first configuration, during the station's [NAS Pasco] primary training days, was four 1,650' runways (in 2 pairs),
consisting of a crushed rock surface (according to a 1943 data sheet for the NAS Pasco outlying fields."
According to its FAA Airport/Facility Directory data, Vista Field was activated in September 1944.

The earliest aeronautical chart depiction which has been located of Vista Field was on the November 1944 Spokane Sectional Chart (courtesy of Ron Plante).
It depicted “Vista (Navy)” as an auxiliary airfield.
According to Brian Rehwinkel, “When NAS Pasco's mission changed to gunnery training for carrier group aircraft, [Vista] Field was upgraded with permanent 3,500' asphalt runways.”

A 5/26/45 USN aerial view of looking north at Vista Field (from the National Archives, courtesy of Brian Rehwinkel).
Brian Rehwinkel noted, “This photo shows a stark view of how undeveloped this area was in 1945.
If you notice, this is an arresting landing area that shows up as a white rectangle just to the east of one of the runways.”

“Pasco Naval Air Station Auxiliary (Vista Outlying Field)”, as depicted in the 1945 AAF Airfield Directory (courtesy of Scott Murdock).
It described “Pasco Naval Air Station Auxiliary (Vista Outlying Field)”
as having 3 asphalt runways, with the longest being the 3,500' northeast/southwest strip.
The field was said to be owned by the U.S. Government, and operated by the Navy.
According to Vistafield.org, “After [WW2] the City reacquired Vista Field & operated it as an airport.”

A 6/8/48 USGS aerial photo depicted Vista Field as having 3 paved runways.
A ramp & 5 single-engine aircraft were visible on the southeast side, and an arch-roof hangar sat on the northeast side.
Both runways had markings on them which may have dated from the field's Navy use, perhaps aircraft carrier runway markings.
The earliest topo map depiction which has been located of Vista Field was on the 1966 USGS topo map.
It depicted Vista Field as having 2 paved perpendicular runways, with a ramp on the east side.

The February 1973 Seattle Sectional Chart (courtesy of John Voss) depicted Vista Field as having 2 paved runways, with the longest being 3,500'.
According to Vistafield.org, “In the early 1970s the city wanted to close the airport.
Airport users convinced the city to hold an advisory vote on the issue.
City voters overwhelmingly voted to keep the airport.
Since that time the city created the Kennewick Public Facilities District (KPFD) to build & operate a convention center near Vista Field.
The City & the KPFD were urging the Port to close Vista Field & use the airport land
for further development of what the city calls an 'entertainment district' & retail development.”

An undated aerial view looking north at Vista Field from the 1990 WA Pilot's Guide (courtesy of Scott Kimball).
It described Vista as having a 3,500 asphaltic concrete Runway 2/20, and a Runway 11/29.
According to Vistafield.org, “The City operated it as an airport until it was sold to the Port of Kennewick in 1991.”
The 1992 USGS topo map still depicted Vista Field as having 2 paved perpendicular runways.

In a 7/4/96 USGS aerial view looking northeast, the outline of the 2 northwest/southeast runways was still recognizable, but it appears only Runway 2/20 was still in use.
A total of 7 single-engine aircraft were visible on the west ramp.

The last aeronautical chart depiction which has been located of Vista Field was on the January 2002 Seattle Sectional Chart (courtesy of Daryl Greaser).
Vista Field had lost its crosswind runway, as it was depicted as having only a single paved 4'000' northeast/southwest runway.
According to Vistafield.org, “The last general elections produced 3 new council persons on the Kennewick City council
and 1 new commissioner & the retention of an incumbent commissioner on the Port Commission.
These new office holders all stated their support for maintaining the airport.
This has changed the political landscape with regard to the Vista Field Airport.
Further development can be done in a manner to enhance both the airport & the area referred to the entertainment district.”

Only 4 single-engine aircraft were visible in a 7/4/13 aerial view looking northeast.

A 9/3/13 photo of the Vista Airport fuel pumps & terminal building.

A 9/3/13 photo of a Diamond DA-40 & Cessns 172 at Vista Airport.
Dorian Jepsen reported in 2013 of Vista Field, “I did one of my first solos there.
It was a great place for pilots to land because it was within walking distance of a mall & restaurants.
Basically close enough to town that you didn't need a courtesy car after landing.
Anything you needed was just a few minutes of walking away.”
Unfortunately the end came for this nice little general aviation field in 2013.
According to the Port of Kennewick, “Vista Field Airport will officially close, all aviation activity will cease,
and the facility will no longer function as an airport effective 12/31/13.”

A sad 1/3/14 aerial view by Scott Kimball looking northeast at Vista Airport, with the closed-runway “X” symbols still being painted on the runway.

A 5/15/17 aerial view by David Ulane looking south at the closed but still-intact Vista Field.
David observed, “It doesn’t look like much has gone on there since it closed."

A circa 2022 3-D aerial image looking northwest at the former Vista Airport terminal building.

A circa 2022 3-D aerial image looking east at former Vista Airport hangars east of the runway.
Vista Field is located east of the intersection of North Young Street & West Grandridge Boulevard.
Thanks to Dorain Jepsen for pointing out this airfield.
____________________________________________________
Northport Airport / James A. Lowry Municipal Airport, Northport, WA
48.925, -117.78 (North of Spokane, WA)

Northport Airport, as depicted in the October 1954 Kootenai Sectional Chart (courtesy of Chris Kennedy).
According to David Field, “A Civil Aeronautics Administration Site Report dated 10/21/48
recommended the site for development of a Class I airport.
The preliminary estimated cost was $14,424, including 124 acres of land for $1,000.”
No airfield was yet depicted at this site on the March 1950 Kootenai Sectional Chart.
According to David Field, “The airport, with a 2,500' x 300’ graded strip was constructed in 1950.
A planned airport inspection in 1952 was not conducted
because the inspector 'couldn’t land due to cattle on the runway'.”
The earliest depiction of the field which has been located
was on the October 1954 Kootenai Sectional Chart (courtesy of Chris Kennedy).
It depicted Northport Airport as having a 2,500' unpaved runway.
According to a historical plaque at the site, it was dedicated as James A. Lowry Municipal Airport in 1955.

The 1963 WA Airport Directory (courtesy of Ron Dupas) depicted James A. Lowry Municipal Airport as having a single 2,500' soil northeast/southwest runway.
A tie-down area was depicted along the southeast side of the runway, but there were no buildings depicted.

The earliest photo which has been located of James A. Lowry Municipal Airport was an 8/18/65 USGS aerial view.
It depicted Lowry as having a single northeast/southwest unpaved runway.
There were no buildings or aircraft visible on the field.

An aerial view looking north at the James A. Lowry Municipal Airport,
from the 1971 WA State Airport Directory (courtesy of Chris Kennedy).
The directory described James A. Lowry Municipal Airport as having a single 2,500' soil Runway 4/22.
The airport offered no services, and the manager was listed as Robert Weilep.

The last aeronautical chart depiction which has been located of Lowry Airport was on the February 1971 Kootenai Sectional Chart,
which depicted Lowry Airport as having a 2,500' unpaved runway.
James A. Lowry Municipal Airport still listed in the 1976 AOPA Airport Directory (according to Chris Kennedy),
but as a private airport (which appears to be a contradiction for a "Municipal" Airport - ?).

The 9/29/76 FAA Airport Inspection Report (courtesy of David Field) depicted the James A. Lowry Municipal Airport as having a single 2,500' turf Runway 4/22,
with a tiedown area & a single hangar on the southeast side.
The airport property was said to consist of 30 acres, owned by the Town of Northport, and the Manager was listed as R. Norberg.
The field was said to have only 1 resident aircraft.
The 1982 USGS topo map still depicted the "Lowry Landing Strip".
According to David Field (from the FAA's Airport Inspection File), “The airport was closed by the City on 10/30/82.”

An early 1980s photo by Mathew Hutchings of the James A. Lowry Municipal Airport historical plaque on a granite block.
Lowry Municipal Airport was no longer depicted at all on the 1998 World Aeronautical Chart.

As seen in the 1998 USGS aerial photo, Lowry Municipal's former runway remained intact.
There did not appear to be any buildings or other aviation facilities at the airfield.
Jim Scott reported in 2004, "As the State Airport Maintenance Manager for Washington State
I am always on the lookout for abandoned strips that can be re-opened.
I have been working on a plan for the Northport site, formerly James A. Lowery Municipal,
and hope to make a pitch to the State and the town later this year to open the airport again.
The land the airport sits on was deeded to the city in perpetuity for use as an airport only
and the city, until I came along, has no idea where to start the process."

A 2009 photo looking north at the Lowry Municipal Airport site.
Mathew Hutchings reported in 2023 that the Lowry Municipal Airport historical plaque which he photographed in the early 1980s “has since been removed.”
Lowry Municipal Airport is located west of the intersection of Route 25 & Flat Creek Road,
directly across the Columbia River from the town of Northport.
____________________________________________________
Clarkston Airport / Asotin County Airport, Clarkston, WA
46.425, -117.06 (South of Spokane, WA)

A circa 1915-24 photo of a crowd of spectators around a Curtiss Jenny at the Clarkston Airport (courtesy of Lee Corbin).
The earliest depiction which has been located of this airfield was a circa 1915-24 photo of a crowd of spectators around a Curtiss Jenny at the “Clarkston Airport” (courtesy of Lee Corbin).
Lee Corbin observed, “Based on the mountains in the background, the airfield appears to be in the same location (or close to) where the Asotin County Airport was eventually constructed.”
Asotin County Airport “was built in 1938 by Asotin County & the City of Clarkston”, according to Clarkston resident Steve Smith.
Steve recalled, “When I was a little boy I would go there all the time,
my dad would take me there when he went to the dump (the dump was right next to the airport).
The only operator was Bert Zimmerly. Burt's operation was called Zimmerly Air Transport.
They did training & maintenance. And he also had a small airline, hence the name Zimmerly Air Transport.”
The earliest aerial view which has been located of Asotin County Airport was a 1943 aerial photo.
It depicted Asotin County Airport as having an unpaved east/west runway, with 2 hangars on the north side.
The Asotin County Airport was not listed in the April 1944 US Army/Navy Directory of Airfields (courtesy of Ken Mercer).

The earliest aeronautical chart depiction which has been located of Asotin County Airport was on the November 1944 Spokane Sectional Chart (courtesy of Ron Plante).
It depicted Asotin County as a commercial/municipal airport.

The 1945 USGS topo map depicted Asotin County Airport as having a single east/west runway,
with a few small buildings along the north side of the runway.

The earliest photo which is available of the Asotin County Airport was a November 1945 photo (courtesy of Stewart Lanham) of Boeing B-17F 42-6107.

The earliest aerial view which is available of the Asotin County Airport
was an undated aerial view looking north from the 1945 AAF Airfield Directory (courtesy of Scott Murdock).
The directory described Asotin County Airport as a 70 acre rectangular property having a single 3,400' east/west gravel runway.
The field was said to have a single 200' x 80' wood hangar, and a 2nd building was visible on the north side of the runway.
The airport was said to be owned by Asotin County, and operated by private interests.
According to Steve Smith, Asotin County Airport operator Burt Zimmerly
“was killed after the war in an accident in bad weather between Spokane & Clarkston.
The transport business was sold to some people in Boise & was called Empire airlines
(no relation to the Empire airlines of today that operates out of Cour d'lene Idaho).”
A 1955 aerial photo depicted 3 planes parked outside the hangars at Asotin County Airport.
Dennis Johnson recalled, “Asotin County... that was the place I first learned to fly.
I remember several hangars (this would have been in 1959).
There was a complete Ford Tri-motor kept alongside one of the hangars.
I flew in & out of there all through high school.”
According to Steve Smith, a 1950 windstorm blew the roof off the original hangar
but the small control tower survived.
Steve recalled, “I remember seeing some great old airplanes there... a P-51, TBM, B-25 just to name a few.”

A circa 1950 photo (courtesy of Stewart Lanham) of Boeing B-17F 42-6107 at Asotin County Airport.
A 1961 aerial photo depicted 5 planes parked outside the hangars at Asotin County Airport.

The 1963 WA Airport Directory (courtesy of Ron Dupas)
depicted Asotin County Airport as having a single 3,600' gravel east/west runway.
A hangar, administration office, and shop were depicted along the north side of the runway.
According to Steve Smith, “The control tower... somone removed it in the late 1960s
and in was used as a childrens playhouse in Lewiston.”
Dennis Johnson recalled, “Viet Nam interrupted my life for a few years, and the next time I went back -
the hangars were really in a sad state, and the venerable TriMotor was long gone.”
A 1970 aerial photo showed Asotin County Airport remained intact, but there were no planes visible parked outside.

An undated aerial view looking north at the Asotin County Airport, from the 1971 WA State Airport Directory (courtesy of Chris Kennedy).
The directory depicted Asotin County Airport as having a single 4,000' gravel Runway 7/25,
and several buildings (hangars?) were depicted on the north & south sides of the runway.
The manager was listed as Bill Behrens.

Asotin County's runway was apparently paved (but somewhat shortened) within the next year,
as the 1972 Flight Guide (courtesy of Chris Kennedy)
depicted the field as having a single 3,600' paved Runway 7/25,
with a parallel taxiway along the north side.
Two buildings were depicted along the north side of the taxiway.
According to Steve Smith, “The airport closed in the early 1970s.
The maintenance part which was renamed Hillcreast Aircraft operated jointly at Clarkston & Lewiston ID (across the river)
for many years during the 1950s & 1960s.
In the late 1960s The Army Corps of Engineers started building dams along the Snake River
for slack water navigation to the Pacific Ocean for barges that would haul grain & logs overseas.
Asotin County & the city of Clarkston thought they should be in on this action so guess which site they chose?
Yep you guessed it!
They closed the runway but kept the hangars open for awhile (Hillcreast was doing mostly helicopter stuff).”
Asotin County Airport was closed before 1976,
as it was no longer listed in the 1976 AOPA Airport Directory (according to Chris Kennedy).
The 1981 USGS topo map still depicted the former runway, but labeled it simply "Airfield".
According to Steve Smith, “The runway was 3,600' long by 100' wide, gravel, and at one point was lighted.
In about 1983 I was walking along what used to be part of the old runway & found an old runway light!”
A 1998 USGS aerial photo showed several buildings & streets had been built over Asotin County Airport's former runway.
But the 2 circa 1938-43 hangars remained standing on the north side.
Clarkston native Brad Clark reported in 2005, “One of the hangars & I think the original FBO / administration offices still stand,
as they are occupied by an antique store.
The front desk of the store has a lot of memorabilia about the airfield.”
Steve Smith reported in 2007, “The big hangar was sold to Poe Aspalt & is still there today.
The small original hangar sat empty for years,
then was bought by the Day family of Clarlston & they operate an Antque Mall there.
I was home last weekend & went there.
They have some pictures on the wall & a nice book with alot of interesting pictures in it.”

A circa 2010-2018 photo (courtesy of Lee Corbin) of the former Asotin County Airport hangar, reused by a business is known as “The Hangar Mall”.

A 2015 aerial view looking northwest showed several buildings & streets covering the former Asotin County Airport runway,
but the 2 circa 1938-43 hangars remained standing on the north side.

A 2019 photo looking south at the former Asotin County Airport hangar, reused as “The Hangar Antique Empoorium”.
Asotin County Airport is located at the intersection of Port Drive & 13th Street.
____________________________________________________
48.886, -118.61 (Northwest of Spokane, WA)

Curlew Airport, depicted on the 1958 USGS topo map.
This general aviation airport was located only 6 miles south of the Canadian border.
Curlew Airport was evidently built at some point in 1958,
as it was not depicted on the 1951 USGS topo map or the October 1958 Kootenai Sectional Chart.
The earliest depiction which has been located of Curlew Airport was on the 1958 USGS topo map.

The earliest aeronautical chart depiction which has been located of Curlew Airport was on the October 1959 Kootenai Sectional Chart.
It depicted Curles Airport as having a 2,800' unpaved runway.

The 1963 WA Airport Directory (courtesy of Ron Dupas)
depicted Curlew Airport as having a single 2,700' east-northeast/west-southwest runway,
along with 2 hangars on the southeast side of the field.
A "huge rock" was also depicted just northwest of the runway.

An aerial view looking north at Curlew Airport, from the 1971 WA State Airport Directory (courtesy of Chris Kennedy).
The directory depicted Curlew Airport as having a single 2,000' dirt Runway 7/25, and said that limited services were available, including fuel.
The manager was listed as Carl Lindsey.

The 1988 USGS topo map depicted Curlew as a single unpaved east/west runway, labeled simply as “Landing Strip”.

At some point between 1971-93, Curlew's runway had been paved & lengthened,
as the 1993 Flight Guide (courtesy of Chris Kennedy) depicted the field as having a single 2,700' paved Runway 7/25.
Five small buildings were depicted along the south side of the runway.
However, although the airport's infrastructure had been expanded,
it was apparently in a state of decline, as it was listed as unattended, and to be used at "own risk".

A 1995 USGS aerial view looking northwest showed one T-hangar was still standing on the south side of Curlew's runway.
Curlew Airport was apparently closed (for reasons unknown) at some point between 1993-98,
as it was no longer depicted on the 1998 World Aeronautical Chart.
A 1998 aerial view showed Curlew's runway & its T-hangar remained intact.
A 2003 aerial view showed construction had covered the western portion of the Curlew Airport runway,
and the T-hangar had been removed at some point between 1998-2003.

A 2013 aerial view looking northwest showed no trace recognizable of Curlew Airport.
Curlew Airport is located northeast of the intersection of Customs Road & Curlew Airport Road, appropriately enough.
____________________________________________________
46.237, -118.83 (Southwest of Spokane, WA)

Ash Airport was depicted simply as “Landing Strip” on the 1976 USGS topo map.
The name & history of this small airfield is unknown.
It was evidently built at some point between 1964-76, as it was not depicted on the 1948/50/55/60/65 Spokane Sectional Charts,
a 1955 aerial photo, or the 1964 USGS topo map.
The earliest depiction of the field which has been located was on the 1976 USGS topo map,
which depicted a single northeast/southwest runway, labeled simply as "Landing Strip".

The earliest photo which has been located of the Ash Airport was a 7/1/96 USGS aerial view looking southwest.
It depicted Ash as consisting of a single 3,800' paved northeast/southwest runway,
and a small paved ramp with several small buildings at the northeast end of the runway.
Ash Airport was not depicted at all (even as an abandoned airfield) on the 1998 World Aeronautical Chart.
There was no current airfield (public or private) listed at the location in the 2000 Airport/Facility Directory.
Anson Statema (a CFII in Pasco, WA) reported in 2004, "Ash Airport is an interesting one; I have never seen an aircraft there.
I was told by a local that the runway was excess pavement,
and was put down there when someone asked for a paved landing strip at the same time the excess occurred.
I can't verify that, but as I said I've never seen an aircraft parked there.
I heard indirectly that certain charter operators drop off passengers there. It certainly isn't an active airport at this point."

An 8/24/11 aerial view looking southwest showed the Ash runway to remain completely intact.
Ash Airport is located south of Route 124, 13 miles east of Pasco, WA.
____________________________________________________
Or if you prefer to contact me directly concerning a contribution (for a mailing address to send a check),
please contact me at: paulandterryfreeman@gmail.com
If you enjoy this web site, please support it with a financial contribution.
____________________________________________________
This site covers airfields in all 50 states.